최근
동암동유적은 구석기시대전기의 이른 시기에 해당되는 유적으로서 이미 발굴고증된 검은모루유적과 함께 인류사회의 려명기에 원인단계의 우리 선조들이 남겨놓은 귀중한 유산이다.
《가치있는 력사유적유물들을 더 많이 발굴하여 민족문화유산의 보물고를 풍부히 해나가야 합니다.》
동암동유적은 평안남도 순천시 동암리 소재지에 자리잡고있다.
사진 1. 동암동유적의 원경
이 지역은 동쪽으로 은산군, 남쪽으로 평성시, 서쪽으로는 안주시, 숙천군, 북쪽으로 개천시, 북창군과 린접하고있다.
유적의 앞으로는 넓은 벌이 펼쳐져있고 그 오른쪽에는 대동강이 흐르며 왼쪽에는 대동강의 지류인 장선강이 흐른다. 뒤에는 나지막한 산으로 둘러막혀있다.
동암동유적은 대동강과 그 지류의 하나인 장선강이 합쳐지는 곳에 위치한 구릉성저산지대의 해발 40m 정도 되는 야산중턱에서 발견되였다.
발굴전 유적의 상태를 보면 이미 오래전에 형성된 자연동굴이 완전히 파괴되여 없어지고 그 자리에 퇴적물이 쌓여있었으며 그우에 수유나무와 잡관목들이 자라고있었다. 발굴당시에는 석회암바닥의 깊은 곳과 얕은 곳에만 퇴적물이 남아있었다.
동암동유적에 대한 발굴은 주체100(2011)년 5월부터 주체104(2015)년 6월까지 진행하였다.
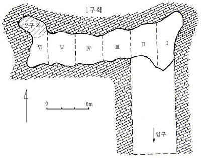
유적발굴은 퇴적층의 조성과 규모, 발굴조건 등을 고려하여 그림과 같이 6개의 지구로 나누어 진행하였다.(그림 1, 2)
그림 1. 동암동유적평면도
그림 2. 1, 2구획자름면도
동굴배태암은 하부고생대 황주군층 무진주층에 발달한 암회색석회암이다. 퇴적층은 6개 층으로 이루어져있다. 유물들은 2층~5층에서 나왔으며 1층과 6층에서는 유물들이 나오지 않았다.
퇴적층의 조성과 색갈, 유물의 출토정형과 특징에 따라 3~4퇴적층을 1문화층으로, 5퇴적층을 2문화층으로 가르고 유물들에 대한 연구를 진행하였다.
2퇴적층에서는 약간의 짐승뼈화석들이 알려졌지만 분류징표들이 명백하지 않기때문에 문화층에 포함시키지 않았다.
동암동유적에서는 석기 14점이 출토되였다.
1문화층에서는 주먹도끼 2점, 찍개 2점, 망치 1점이 나왔다. 석기의 재료를 보면 석영과 규암이 각각 2점, 사암은 1점이다. 석기의 형태는 3각형, 긴타원형, 방형이다.(사진 2)
사진 2. 1문화층에서 나온 석기
2문화층에서는 주먹도끼 2점, 찍개 4점, 자르개 1점, 망치 2점이 나왔다. 석기의 재료는 석영 1점, 규암 6점, 사암 2점이다. 석기의 형태는 살구씨형, 나무잎형, 제형, 방형, 부채형, 타원형이다.
석기들의 가공면은 거칠고 투박하며 떨어져나간 격지흔적들이 크게 나있다. 또한 가공흔적은 보이지 않고 사용과정에 흠집만 남아있는 석기들과 반제품, 쪼각들도 있다.(사진 3)
사진 3. 2문화층에서 나온 석기들
1, 2문화층에서 나온 찍개는 대체로 한쪽면에만 날이 있고 외면가공한 석기이며 주먹도끼는 만능도구로서 가공면이 뚜렷하고 여러면에 날이 있는것이 특징적이다.
1문화층에서 나온 석기들은 2문화층에서 나온 석기들보다 가공면이 거칠고 투박하며 떨어져나간 격지흔적들이 크다. 주먹도끼의 손잡이부분은 자연면을 거의 그대로 리용하였고 날은 끝부분을 가공하여 뾰족하게 만든것도 있고 두리뭉실한것도 있다. 가공흔적으로 보아 구석기시대전기의 이른 시기에 널리 쓰인 내리쳐깨기와 때려깨기수법이 적용되였다고 볼수 있다.
유적에서는 짐승의 뼈로 만든 골기들도 발견되였다.(사진 4)
사진 4. 2문화층에서 나온 골기들
세계적으로 놓고보아도 구석기시대전기에 골기들이 나온 실례는 드물다. 동암동유적에서 출토된 골기들가운데는 손잡이부분 또는 날부분이 떨어져나간것들도 있다. 이것들은 도구로서의 기능과 제작측면을 잘 보여주고있다.
이번에 동암동유적에서는 아시아에서 가장 오랜 시기의 주먹도끼가 발견됨으로써 우리 나라 구석기시대 석기문화의 합법칙적발전과정을 해명하는데서 중요한 물질적자료가 마련되게 되였다.
지금까지 우리 나라에서 알려진 가장 이른 시기의 구석기시대전기유적은 주체55(1966)년에 발굴된 황해북도 상원군 검은모루유적(지금으로부터 100만년이전)이다.
검은모루유적과 같은 매우 이른 시기의 구석기시대전기의 동암동유적이 새로 발굴됨으로써 민족문화유산의 보물고가 더 풍부해지게 되였다.
동암동유적에서는 모두 4목 10과 11속 13종의 포유동물화석이 감정되였다.(사진 5)
동암동유적에서 나온 포유동물화석들을 보면 큰해리(Trogontherium cf. cuvier), 승냥이(Cuon alpinus), 큰곰(Ursus arctos), 큰점히에나(Pachycrocuta cf. sinensis), 범(Panthera tigris), 범(미정종)(Panthera sp.), 말(미정종)(Equus sp.), 큰쌍코뿔이(Dicerorhinus kirchbergensis), 큰메돼지(Sus lydekkeri), 누렁이(Cervus elaphus), 큰꽃사슴(Cervus grayi), 큰뿔사슴(Sinomegaceros pachyosteus), 물소(미정종)(Bubalus sp.)이다.
1문화층에서는 13종, 2문화층에서는 12종의 포유동물이 알려졌다.
그가운데서 식육목은 38.5%(5종), 쌍발통목은 38.5%(5종), 외발통목은 15.4%(2종), 쥐목은 7.6%(1종)를 차지한다. 그리고 큰쌍코뿔이, 말(미정종), 큰뿔사슴, 큰꽃사슴, 큰메돼지, 물소(미정종), 큰점히에나, 큰해리와 같은 사멸종은 8종으로서 61.5%, 큰곰, 범, 승냥이, 누렁이를 비롯한 현생종은 5종으로서 38.5%를 차지한다.
동암동유적에서는 5 000여점의 포유동물뼈화석이 발굴되였는데 이것을 최소마리수로 계산하면 105마리정도에 달한다.
제3기 상신세부터 제4기 중갱신세에 네데를란드와 영국, 뽈스까, 중국을 비롯한 유라시아의 여러 유적에서 발견된 큰해리가 우리 나라에서는 동암동유적에서 처음 발견되였다.
일반적으로 사멸종비률이 높을수록 동물상의 시대가 오랜것으로 볼수 있다.
동암동동물상에서 사멸종비률은 61.5%로서 우리 나라 하갱신세의 검은모루동물상(62.9%)과 중국 주구점1지점동물상(63.07%)의 사멸종비률과 비슷하다. 그리고 중갱신세 대현동물상(50%), 중-상갱신세 중리동물상(47.6%)과 랭정동물상(54.5%), 승리산동물상(34.9%)의 사멸종비률보다 높다.
유적에는 열대, 아열대의 기후에 적응된 종들이 46.2%, 온대기후에 적응된 종들이 53.8%를 차지한다. 여기서 큰쌍코뿔이, 물소, 큰점히에나 등은 검은모루동물상에 있는 종과 같은 열대-아열대기후에 적응된 종들이다. 이것은 당시의 기후가 지금보다 더웠다는것을 말하여준다.
동물상의 생태류형에 대한 분석결과를 보면 산림에서 사는 종이 69.2%, 초원에서 사는 종이 15.4%, 물가에서 사는 종이 15.4%를 차지한다.
따라서 당시 동암동유적일대에는 산림이 우세하였으며 초원과 습지대로 이루어진 열대-아열대기후와 같은 덥고 습한 기후환경이 조성되여있었다고 볼수 있다.
동암동유적에서는 분류학적으로 61개의 과 및 속에 해당하는 1 094개의 포분이 감정되였다. 1문화층에서는 49개의 과 및 속에 해당하는 324개, 2문화층에서는 48개의 과 및 속에 해당하는 270개의 포분화석이 알려졌다.
포분식물들은 주로 저산 및 구릉지대와 구릉 및 평야지대에 분포되여있고 다른 지대들에는 매우 적게 분포되여있다. 이것은 유적일대의 옛 지형구성이 저산성구릉지대였다는것을 보여준다.
포분식물상을 보면 5개 속의 식물은 열대기후대에, 25개 속의 식물은 아열대기후대에 분포되여있는것들이다. 이것은 당시 동암동유적일대의 기후가 매우 온화하였다는것을 보여준다.
유적일대의 옛 식물피복을 보면 바늘잎나무류(11개의 과 및 속), 넓은잎나무류(24의 과 및 속), 풀류(13개의 과 및 속)의 화분 및 포자식물들이다. 이것은 당시 유적일대의 식물경관이 초원-혼성림식물피복과 혼성림-초원식물피복이 주기적으로 교체되면서 변화되여왔다는것을 보여준다.
포분식물상에 의한 연구결과 1문화층형성시기는 아열대-아열대성온대의 습윤한 기후였고 2문화층형성시기는 아열대성온대의 습윤한 기후환경이였다고 말할수 있다.
동암동유적의 년대를 밝히기 위하여 전자상자성공명스펙트르(ESR)년대측정법, 열형광년대측정법, 고지자기년대측정법에 의하여 절대년대를 측정하였다.
연구결과 동암동유적의 1문화층은 대략 88만년전, 2문화층의 년대는 대략 72만년전이라는것이 확증되였다.
동암동유적의 절대년대가 거의 100만년전에 해당된다는것이 과학적으로 밝혀짐으로써 우리 선조들이 인류발생초기부터 이 땅우에서 유구한 문화와 력사를 창조하여왔다는것을 다시한번 힘있게 증명할수 있게 되였다.
동암동유적의 발굴은 우선 우리 나라가 인류발상지의 하나라는것을 다시한번 확고한 물질적자료로 론증할수 있게 된것이다.
지난 시기 우리 나라에서 구석기시대 중기와 후기의 수많은 유적들이 발굴되고 검은모루유적에 이어 동암동유적과 같은 구석기시대전기의 유적이 또다시 발굴고증된것은
구석기시대전기의 동암동유적은 평양을 중심으로 하는 대동강류역에서 아득히 먼 태고적부터 우리 선조들이 이 땅우에 생의 터전을 잡고 인류진화발전의 합법칙적인 단계를 순차적으로 거치면서 하나의 혈통을 이루고 유구한 력사와 문화를 창조해왔다는것을 물질적자료로써 증명해주고있다.
다음으로 우리 나라는 물론 아시아지역의 구석기시대문화연구에서 매우 가치있는 학술적자료로 된다는것이다.
지금까지 우리 나라를 비롯한 아시아지역에서는 동암동유적의 주먹도끼와 같이 오랜 석기들이 알려지지 않았다.
지난 시기 우리 나라와 아시아의 일부 유적들에서도 주먹도끼가 발견되였지만 동암동유적에서와 같이 구석기시대전기 이른 시기의 주먹도끼는 발견된것이 없다.
동암동유적에서 새로 발견된 유물들은 앞으로 우리 나라와 아시아의 구석기시대문화연구에서 매우 가치있는 물질적자료로 된다.
동암동유적발굴은





